Ambiente, Wwf: 2017 anno terribile per pianeta, ecco 7 segnali lanciati da terra

Nel 2017 abbiamo visto un brutto film e a raccontarcelo e’ stato il nostro Pianeta. Abbiamo assistito ad un Anno horribilis a giudicare dalle immagini che ci ha mostrato: uragani e alluvioni, riduzione delle banchise polari e dei ghiacciai, moria di barriere coralline per i fenomeni di sbiancamento, si sono succeduti in tante parti del […]

Nel 2017 abbiamo visto un brutto film e a raccontarcelo e’ stato il nostro Pianeta. Abbiamo assistito ad un Anno horribilis a giudicare dalle immagini che ci ha mostrato: uragani e alluvioni, riduzione delle banchise polari e dei ghiacciai, moria di barriere coralline per i fenomeni di sbiancamento, si sono succeduti in tante parti del mondo e con un’intensificazione dei fenomeni accelerata, presenza pervasiva delle plastiche nei mari e negli oceani, continuo degrado di ambienti naturali straordinariamente importanti, come le foreste, perdita continua di specie viventi, segnali sempre piu’ evidenti di una sesta “estinzione di massa” dovuta all’intervento umano, siccita’, con ondate di calore che hanno innescato piu’ facilmente anche incendi persino in regioni remote come Siberia e Groenlandia. Non ultimo, l’incremento delle ondate di flussi migratori dai paesi piu’ poveri, a dimostrazione del forte legame tra crisi degli habitat e crisi umanitaria. Per rispondere all’Sos del Pianeta il Wwf ha lanciato oggi la sua iniziativa “Planet is Calling” come prima fase della sua Campagna di Natale “Wwf is Calling”. Questa mattina la sede Wwf di Roma si e’ ‘vestita’del messaggio per il Pianeta con uno striscione che restera’ visibile fino a fine anno e inaugurato con alcuni degli Ambassador dell’Associazione: Michelle Carpente, Elena Di Cioccio e Alessandro Tersigni. Il Wwf ha anche realizzato l’Album 2017, sette segnali, lanciati in diverse parti del Pianeta, che mostrano l’impressionante effetto del crescente cambiamento climatico e di altre nostre azioni insostenibili. Il lancio della Campagna e’ avvenuto anche in coincidenza dell’inaugurazione a Roma, presso il Museo Maxxi, del progetto d’arte contemporanea Light di uno dei piu’ importanti artisti e fotografi al mondo, Michel Comte. Si tratta di una raccolta di lavori che esplora l’impatto ambientale del riscaldamento globale sui ghiacciai del pianeta. Il Wwf ha deciso di sposare questo progetto anche in prosecuzione del percorso di partnership avviato col Maxxi per diffondere la cultura e la sensibilizzazione in difesa dell’ambiente.

Nel corso della sua Campagna il Wwf realizzera’ una serie di attivita’ di sensibilizzazione sul tema climate-change e accompagnera’ la tappa di Light presso la Triennale di Milano. Per il Wwf l’urgenza e’ quella di invertire subito questa tendenza: i sistemi complessi si stanno avvicinando a situazioni critiche che noi stessi potremo non essere in grado piu’ di invertire. Ecco perche’ il fattore tempo e’ cosi’ importante. Il momento per agire e’ ora, e non possiamo solo aspettare che governi e autorita’ si attivino per tempo, possiamo essere tutti ora attori del cambiamento. Nelle prossime settimane il Wwf proseguira’ la sua Campagna Wwf is Calling raccontando le storie dei tanti “Eroi di Natura” che stanno cambiando, con grandi e piccole azioni quotidiane, il senso di questa corsa verso la perdita di specie e habitat attraverso soluzioni per combattere il cambiamento climatico e per adattare le proprie comunita’ ai fenomeni gia’ in atto.

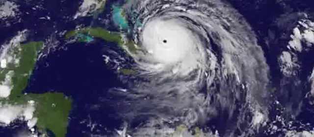
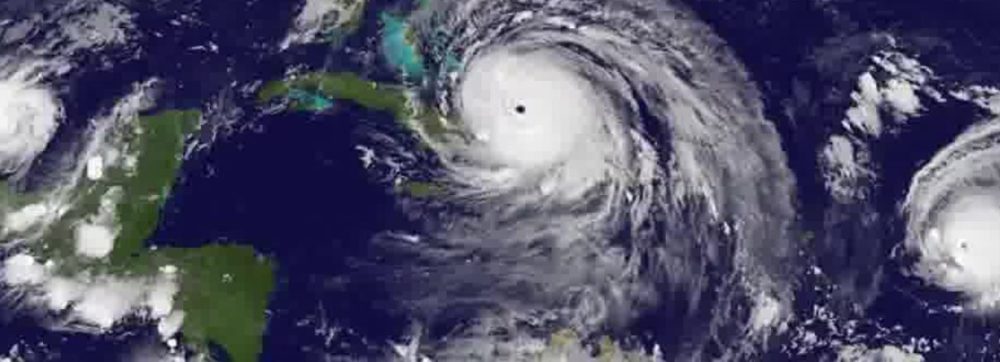
La visione di insieme dei momenti piu’ significativi va oltre la sequenza temporale: l’accelerazione evidente denuncia il fatto che per molti processi di persistente degrado dei sistemi naturali siamo ormai molto vicini al sorpasso di punti critici, oltre i quali la nostra capacita’ di azione per sovvertire la situazione puo’ essere quasi nulla. La successione degli uragani nell’area atlantica e soprattutto della loro forza e intensita’ ha lasciato colpiti molti studiosi; la visione di tre uragani insieme, Katia, Irma e Jose’, fotografati dai satelliti, ha sorpreso tutti. Una fotografia satellitare cosi’ e’ apparsa una significativa preoccupante novita’. Globalmente nella stagione si sono scatenati ben 16 uragani, continua il Wwf Italia.

Inoltre, per diversi ecosistemi forestali che costituiscono una fonte indispensabile di ossigeno e di sequestro di CO2, in condizioni di forti ondate di calore e prolungati periodi di siccita’, non sono piu’ “sequestratori” di anidride carbonica (biossido di carbonio) ma diventano emettitori di CO2. Il cambiamento climatico del quale si sta discutendo in questi giorni nel nuovo summit a Bonn (la 23° conferenza delle Parti, COP, della Convenzione Onu sui cambiamenti climatici) e’ un facilitatore di questi processi. Quest’anno si e’ rafforzata la concentrazione di anidride carbonica nella composizione chimica dell’atmosfera che ha sorpassato le 400 ppm (parti per milione di volume) gia’ nel 2016. Una concentrazione simile non e’ presente nell’atmosfera da almeno 800.000 anni (dati accertati dalle bolle d’aria presenti nei carotaggi dei ghiacci di questo lungo periodo) e, secondo i dati paleoclimatologi indiretti, le 400 ppm sono state raggiunte 3-5 milioni di anni fa durante la meta’ del Pliocene; in quel periodo i ghiacciai della Groenlandia e dell’Antartide si erano fusi o ritirati, il livello dei mari era superiore di 10-20 metri rispetto al livello attuale e la temperatura era di 3-4°C superiore a quella attuale. “E’ necessaria una grande pressione pubblica sui governi e sulle autorita’ politiche, e il Wwf si batte per realizzare concretamente l’Accordo di Parigi sul clima e l’Agenda 2030 con i suoi 17 Obiettivi di Sviluppo Sostenibile, documenti sottoscritti da tutti i paesi del mondo in sede Nazioni Unite, nonche’ un grande Patto internazionale sull’ambiente, come indicato dal Presidente francese Macron alle Nazioni Unite, che metta insieme l’impegno di tutti per salvaguardare i sistemi naturali di tutto il mondo che costituiscono la base fondamentale del nostro sviluppo e del nostro benessere- ha dichiarato Donatella Bianchi, Presidente del Wwf Italia- Al fianco di questa opera di pressione tutti possiamo fare qualcosa ogni giorno, con azioni concrete, per ridurre il nostro impatto sulla natura. E gia’ oggi sono tanti gli esempi di soluzioni adottate da comunita’ in tante parti del mondo che stanno facendo la differenza. Grazie al Wwf puoi fare parte di chi si preoccupa del nostro futuro, di quello dei nostri figli, figlie e nipoti e delle generazioni che verranno. E della natura che garantisce il nostro futuro”.